Scroll to top

FLEMING - VIA MESSEDAGLIA - MQ 145 - MQ 22 TERRAZZI - BOX - CANTINA

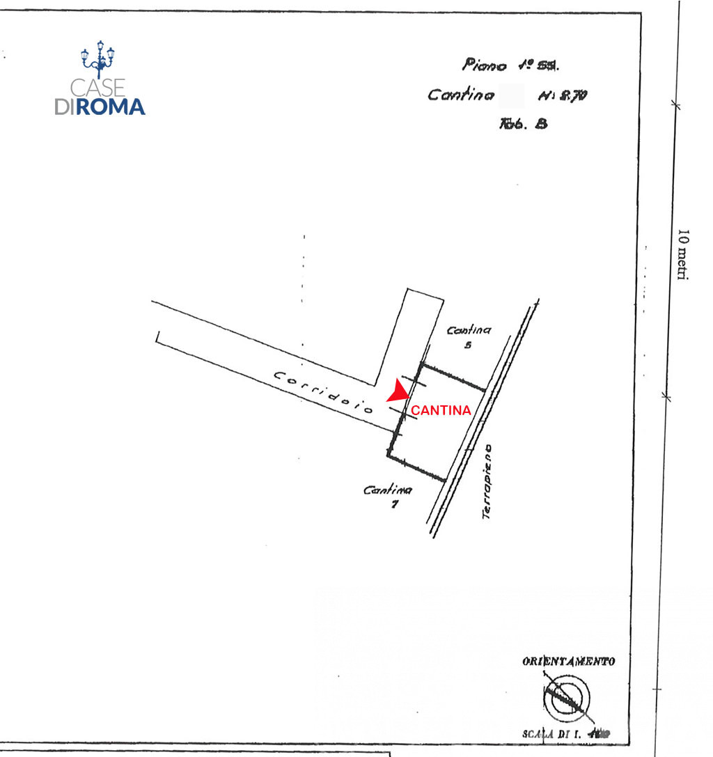
Quartiere Fleming, via Messedaglia 36, in un piccolo comprensorio di due palazzine circondate dal verde e dotato di servizio di portineria, proponiamo in vendita un appartamento con tripli affacci di 145 mq circa, posto al terzo piano (con ascensore) e con due terrazzi abitabili, uno sul salone ed uno sulla cucina. L’appartamento, dotato di doppi ingressi e facilmente frazionabile in due unità immobiliari indipendenti, è composto da un ampio ingresso padronale, salone con doppi affacci ed un terrazzo abitabile di circa 14 mq, ampia cucina abitabile, che originariamente ospitava una cameretta ed un bagno di servizio ripristinabili, dispensa/ripostiglio (ricavato dall’ex ingresso di servizio), un terrazzo di circa 8 mq. La zona letto è composta da un corridoio due camere e due bagni. Qualora necessitasse la terza camera letto, come si evince dalla planimetria, sarà possibile acquisire una parte del grande salone senza precluderne la vivibilità. Incluso nel prezzo proposto di vendita, un grande box di 22 mq calpestabili parzialmente soppalcato (318x692 cm – h. 291cm) dove poter accogliere due macchine incolonnate di media grandezza e motocicli ed una cantina finestrata di circa 8 mq. Le unità sono libere ed immediatamente fruibili, l’appartamento necessiterà di parziali lavori di ristrutturazione per quanto in apparenti buone condizioni di manutenzione, le spese condominiali ammontano su base mensile ad € 225,00 mese, il riscaldamento con contabilizzazione del calore per l’anno 2023-2024 è ammontato a n.5 rate da 394,00 cadauna. Richiesta per l’appartamento, il box e la cantina, € 645.000,00 , categoria catastale A/2, vende persona fisica (NO società), rendita catastale totale di tutte e tre le unità € 2.423,00

Tipologia: Appartamento
Vani:7,5
Camere da letto: 2
Bagni: 2
Prezzo: 645.000,00€

Planimetria

Video